Por excelsior.com.mx
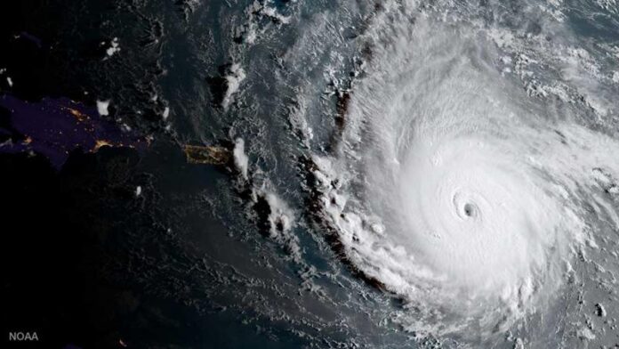
El huracán Irma, de categoría 5 y una de las tormentas más poderosas del Atlántico en un siglo, llegó esta madrugada al Caribe, donde a las 02.00 hora local (06.00 GMT) impactó Antigua y Barbuda.
A su paso por la isla de Antigua, los daños han sido menores a lo esperado, pese a los fuertes vientos y lluvias, conforme a medios locales.
Sin embargo, en la isla de Barbuda, el tendido eléctrico se ha visto seriamente afectado y la estación de policía local resultó parcialmente destruida, así como numerosas viviendas, informó hoy la Oficina Nacional de Desastres en un comunicado.
El daño mayor se registró en el norte de la isla, aunque aún no ha sido evaluado.
Hacia las 05.00 hora local (09.00 GMT) Irma abandonó la isla, de unos 2 mil habitantes, para dirigirse a Saint Martin.
El huracán ha causado importantes daños en dicha isla, donde varios habitantes relataron a los medios locales que hay fuertes inundaciones y durante su paso «llovían tejados y objetos de todo tipo como troncos o mobiliario urbano».
En Saint Martin se han llegado a medir vientos de hasta 295 kilómetros hora.



